Desplegar navegación
Inicio
Inmobiliarias
Contacto
Acceso Inmobiliarias
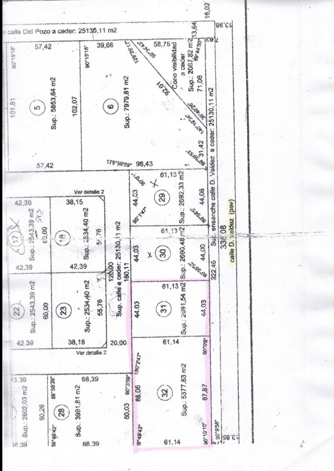
2 TERRENOS EN AV. D. VALDEZ, ZONA INDUSTRIAL PIN
Terreno / Lote
En Venta
En San Nicolás
Cod: 486-0010
Publicada el:
11 de Marzo de 2026
Cantidad de visitas:
8
Dirección:
DAMASO VALDEZ Y DEL POZO
2 importantes lotes de 5377,83m2 y 2691,54m2. Ambos sobre Av. Damaso Valdez, zona industrial pin. CONSULTAR POSIBILIDADES DE FINANCIACION.
sin dormitorios | | No posee cochera
Consultar por
a la Inmobiliaria
Contactar Inmobiliaria
Enviar datos a mi Email
Estoy interesado en recibir informacion de la propiedad
Enviando....
Enviar!
El formulario esta incompleto.
Mensaje!!
X
INMOBILIARIA
RAFAEL AGUIAR 152 BIS
2900 - San Nicolás
Buenos Aires Argentina
Tel. / Fax
mgserviciosinmobiliariossn@gmail.com
X
Propiedad: 2 TERRENOS EN AV. D. VALDEZ, ZONA INDUSTRIAL PIN