Lote en B° Plastiversal con 1300 m2
Terreno / Lote
En Venta
En San Nicolás
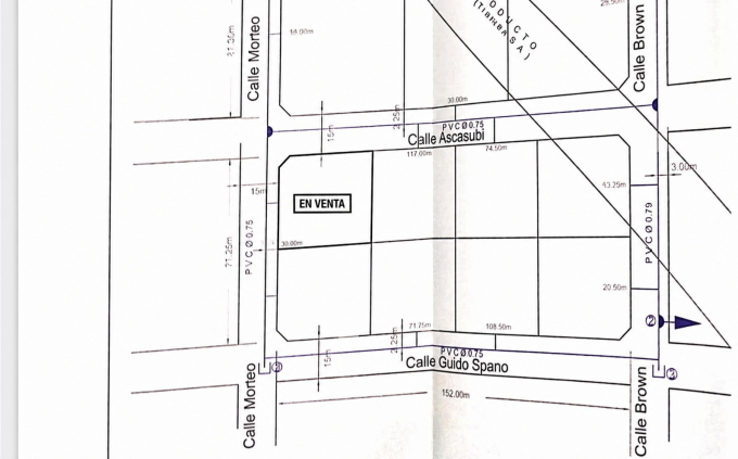
Dirección: Ascasubi esquina Av. Morteo
Barrio: PLASTIVERSAL
Lote Apto crédito!

Se trata de un terreno amplio en una zona de gran crecimiento de la ciudad. Crecimiento urbanístico, esparcimiento, iglesias, salón de eventos, fabricas, a muy poco de la hermosa costanera de Barrio Somisa y zona de transporte. Se ubica en Barrio Plastiversal, a metros del Loteo El Colonial. A 4 cuadras de Av. Savio y a tan solo 10 minutos del centro. Cuenta con servicios como luz, agua y cloacas. Además de ello, el lote se ubica en la esquina de Av. Morteo con frente a ambas calles. Es ideal para edificar tu hogar, casa de fin de semana o proyecto con fines comerciales. Respecto a sus medidas dispone de 1303 m2, distribuidos de la siguiente manera: treinta metros setenta y seis centímetros libre de ochava en su frente Sud Oeste; seis metros de ochava que mira al Oeste; treinta y tres metros veintiséis centímetros libre de ochava en su otro frente al Nord Oeste; treinta y cinco metros en su costado Nord Este; y treinta y siete metros cincuenta centímetros en su otro constado Sud Este. El lote es Apto crédito y se cuenta con posibilidad de permuta por departamento! Contáctanos !
sin dormitorios  |      |  No posee cochera
Medidas: 35 x 37
U$S 24.000

  El formulario esta incompleto.